AGENDA

 

Maniototo Community Board Meeting

Thursday, 14 September 2023

 

Date:

Thursday, 14 September 2023

Time:

2.00 pm

Location:

Ranfurly Service Centre, 15 Pery Street, Ranfurly

 

(A link to the live stream will be available on the Central Otago District Council's website.)

 

Peter Kelly

Chief Executive Officer

 


Notice is hereby given that a meeting of the Maniototo Community Board will be held in Ranfurly Service Centre, 15 Pery Street, Ranfurly and live streamed via Microsoft Teams on Thursday, 14 September 2023 at 2.00 pm. The link to the live stream will be available on the Central Otago District Council’s website.

Order Of Business

1         Apologies. 5

2         Public Forum.. 5

3         Condolences. 5

4         Confirmation of Minutes. 5

Maniototo Community Board Meeting Minutes - 3 August 2023. 7

5         Declaration of Interest 12

23.4.1           Declarations of Interest Register 12

6         Reports. 14

23.4.2           2023/24 Community and Promotions Grants Applications - 1st Funding Round. 14

23.4.3           Road Renaming Approval Report - Earne Street, Naseby. 18

7         Mayor’s Report 32

23.4.4           Mayor's Report 32

8         Chair's Report 33

23.4.5           Chair's Report 33

9         Members' Reports. 34

23.4.6           Members' Reports. 34

10       Status Reports. 35

23.4.7           September 2023 Governance Report 35

11       Date of the Next Meeting. 45

 

 

 


Members         Mr R Hazlett (Chair), Mr M Harris, Cr S Duncan, Mr D Helm, Ms R McAuley

In Attendance  T Cadogan (Mayor), P Kelly (Chief Executive Officer), D Rushbrook (Group Manager - Community Vision), D Scoones (Group Manager - Community Experience), L Fleck (General Manager - People and Culture), N McLeod (Acting Group Manager - Business Support), L Webster (Acting Group Manager – Planning and Infrastructure), S Reynolds (Governance Support Officer)

 

1              Apologies

2              Public Forum

3              Condolences

4              Confirmation of Minutes

Maniototo Community Board meeting - 3 August 2023


MINUTES OF A meeting of the
Maniototo Community Board
HELD IN THE
Ranfurly Service Centre, 15 Pery Street, Ranfurly
AND LIVE STREAMED VIA MICROSOFT TEAMS ON
Thursday, 3 August 2023 commencing AT 2.00 pm

 

PRESENT:              Mr M Harris (Chair), Mr D Helm, Ms R McAuley

IN ATTENDANCE: T Cadogan (Mayor), S Righarts (Group Manager - Business Support),            D Rushbrook (Group Manager - Community Vision), D Scoones (Group Manager - Community Experience), L Webster (Interim Group Manager - Planning & Infrastructure), S Finlay (Chief Financial Officer), G Bailey (Parks and Recreation Manager), M Burnett (Parks Officer - Strategy & Planning), W McEnteer (Governance Manager), S Reynolds (Governance Support Officer)

1              ApologiES

Committee Resolution 

Moved:                Helm

Seconded:          McAuley 

That an apology from Cr S Duncan be received and accepted and an apology for lateness from Mr R Hazlett be received and accepted.

Carried

 

Note: With approval of the meeting condolences, confirmation of minutes and declarations of interest were moved forward. 

2              Condolences

The chair referred to the deaths of Wally Harrison, Brett Mackle, John McCloy, Joyce Greer, Louella Ratana, Jackie Blue, Donella Hore and Noeline O’Neill. Members stood for a moment’s silence as a mark of respect.

3              Confirmation of Minutes

Committee Resolution 

Moved:                McAuley

Seconded:          Helm

That the public minutes of the Maniototo Community Board Meeting held on 11 May 2023 be confirmed as a true and correct record.

Carried

 

4              Declarations of Interest

Members were reminded of their obligations in respect of declaring any interests. There were no further declarations of interest.

5              Public Forum

Sarah Paterson, Melissa Bell, Craig Paterson – Maniototo Area School

Ms Paterson, Ms Bell and Mr Paterson spoke with regards to the turf and courts upgrade project for Maniototo Area School.  They noted the need for significant upgrades and the safety concerns around the existing gym and the turf.  Original quotes have escalated meaning they need to pursue external funding sources.  They then responded to questions.

6              Reports

23.3.2         Community Outcomes and Community Ideas for the draft 2024-34 Long-term Plan

To consider Council’s Community Outcomes and review comments received through early community engagement for the 2024-34 Long-term Plan.

After discussion and noting the significant expenditure needed for the Ranfurly Pool, it was concluded that such strategic development would need to be aligned with longer-term thinking.  However, levels of service and opening hours for the pool would be looked at as part of the 2024-34 Long-term Plan.

Committee Resolution 

Moved:                McAuley

Seconded:          Harris

That the Maniototo Community Board

A.      Receives the report and accepts the level of significance.

B.      Notes the existing Community Outcomes will be used in the development of the draft     2024-34 Long-term Plan.

C.      Agrees and that the land for the park is still intended to be used for grazing.  Agrees that the upgrade of the pool will not be progressed through the current Long-term Plan but that it is reconsidered for the next Long-term Plan discussions in 2027-2037

Carried

 

23.3.3         Māniototo Financial Report for the Period Ending 31 March 2023

To consider the financial performance overview as at 31 March 2023.

The interim report for the period ending 30th June Māniatoto Financial report was also tabled, see attachment.

Committee Resolution 

Moved:                Harris

Seconded:          McAuley

That the report be received.

Carried

Attachments

1        Māniatoto Financial Report for the Period Ending 30 June 2023

 

7              Mayor’s Report

23.3.4         Mayor's Report

His Worship the Mayor gave an update on his recent activities..  

Highlights included attending the LGNZ National Conference held in Christchurch at the new Te Pae centre, and the shortlisting of a new Independent Chair for the Audit and Risk Committee. 

He noted that he has missed a number of Ranfurly Business Breakfasts as they often clash with the Council meeting days.  However, he would be in attendance at the next one.

He also commented that his weekly phone in on The Burn has moved from Thursdays to Fridays, around 7.40am.

 

This morning he had a meeting with one of the organisers of the Ranfurly 125th celebrations and looks forwards to the event in early December.

 

Committee Resolution 

Moved:                Harris

Seconded:          McAuley

That the Maniototo Community Board receives the report.

Carried

 

8              Chair's Report

23.3.5         Chair's Report

The Chair gave an update on activities and issues since the last meeting.

·    Noted the drilling that ORC were doing, seeking possible new water supplies for the town. 

 

Committee Resolution 

Moved:                Harris

Seconded:          McAuley

That the report be received.

Carried

 

 

 

 

 

9              Members' Reports

23.3.6         Members' Reports

Members gave an update on activities and issues since the last meeting.

Mr Harris reported on the following:

·    The new Volunteer Fire response vehicle, had now been granted and they were investigating the best pricing for this.

·    Maniototo Fire Brigade has its 70th Anniversary coming up in September which will also award Ewan Mason has his Double Gold celebration.

Ms McAuley reported on the following:

·    Noted that the organisers of the 125 year celebration have plans for the proceeds of the celebrations to be put back in to the community.  They would like to attend a meeting to seek suggestions on this from the board. A possible proposal would be the installation of a Ranfurly sign to welcome visitors.

·    Notes the new defibrillator and some exterior lighting installed at the Maniototo Park Stadium and acknowledges staff for these improvements.

·    Notes good feedback from the community on the garden maintenance and was looking forward to seeing the new planting in the spring.

·    Notes a blocked storm drain on the corner of Stafford Street and Charlemont Street.

·    Notes a number of enquiries with regards to Ranfurly Elderly Persons Housing.

Committee Resolution 

Moved:                Harris

Seconded:          Helm

That the report be received.

Carried

 

10            Status Reports

23.3.7         August 2023 Governance Report

To report on items of general interest, receive minutes and updates from key organisations and consider the legacy and current status report updates.

Committee Resolution 

Moved:                Helm

Seconded:          McAuley

That the report be received.

Carried

 

11            Date of the Next Meeting

The date of the next scheduled meeting is 14 September 2023.

12            Resolution to Exclude the Public

Committee Resolution 

Moved:                Harris

Seconded:          McAuley

That the public be excluded from the following parts of the proceedings of this meeting.

The general subject matter of each matter to be considered while the public is excluded, the reason for passing this resolution in relation to each matter, and the specific grounds under section 48 of the Local Government Official Information and Meetings Act 1987 for the passing of this resolution are as follows:

General subject of each matter to be considered

Reason for passing this resolution in relation to each matter

Ground(s) under section 48 for the passing of this resolution

Confidential Minutes from Ordinary Board Meeting

s7(2)(i) - the withholding of the information is necessary to enable Council to carry on, without prejudice or disadvantage, negotiations (including commercial and industrial negotiations)

s48(1)(a)(i) - the public conduct of the relevant part of the proceedings of the meeting would be likely to result in the disclosure of information for which good reason for withholding would exist under section 6 or section 7

23.3.8 - August 2023 Confidential Governance Report

s7(2)(i) - the withholding of the information is necessary to enable Council to carry on, without prejudice or disadvantage, negotiations (including commercial and industrial negotiations)

s48(1)(a)(i) - the public conduct of the relevant part of the proceedings of the meeting would be likely to result in the disclosure of information for which good reason for withholding would exist under section 6 or section 7

 

Carried

 

The public were excluded at 2.42 pm and the meeting closed at 2.44 pm

 

 

 


14 September 2023

 

5              Declaration of Interest

23.4.1         Declarations of Interest Register

Doc ID:      1200612

 

1.       Purpose

 

Members are reminded of the need to be vigilant to stand aside from decision making when a conflict arises between their role as a member and any private or other external interest they might have.

 

 

2.       Attachments

 

Appendix 1 - 20230914 MCB Declarations of Interest.docx  

 


Maniototo Community Board meeting

14 September 2023

 


 


14 September 2023

 

6              Reports

23.4.2         2023/24 Community and Promotions Grants Applications - 1st Funding Round

Doc ID:      662974

 

1.       Purpose of Report

 

To consider the first round of the community and promotions grant applications for the 2023/24 financial year.

 

Recommendations

That the Maniototo Community Board

A.      Receives the report and accepts the level of significance.

B.      Decides the grants to be allocated to the applicants of the community and promotions grants.

 

2.       Background

 

The Central Otago District Council contributes to the social, economic, environmental and cultural well-being of the local community through the contestable grants process. 

 

The objectives of the grants process are:

 

·    Enhance well-being in the district (social, economic, environmental and cultural)

·    Empower local communities

·    Facilitate the delivery of community outcomes

·    Promote our regional identity: Central Otago A World of Difference.

 

There are two types of grants that can be applied for, community grants and promotions grants.  Each are funded using different targeted rates, which means that one pool cannot subsidise the other.  Each application must be considered on its own merit and fit with the relevant grant criteria and available budget. 

 

The Board considers grant applications in two rounds annually.  This is the first round of funding for the 2023/24 financial year.  Applications for this funding round closed on the 23rd of July 2023 for a decision at this meeting.  

 

The Maniototo Community Board is delegated the authority to consider applications for activities and projects within its boundaries. 

 

Annually, there is $15,000 to distribute in the Maniototo community grants scheme and $5,000 to distribute in the promotions grants scheme.  

 

3.       Discussion

 

Community Grants

 

Two community grant applications have been received in the current round requesting a total of $12,300.  There is a total of $15,000 for community grants to distribute for both this initial round and the scheduled second round of funding in the first half of 2024. 

 

The details of this round’s applications are provided in the table below:

 

 

Name of Organisation

Name of project / service

Purpose of funding

When does the project start

Total costs

Amount requested

1

Maniototo Early Settles Association Inc.

Annual Operating Costs

Annual Operating Costs

1/8/2023

$39,807

$8,300

2

Naseby Information Centre

Annual Expenses

Contribution to operational costs

1/4/2023

$7,500

$4,000

 

Copies of the application, supporting documentation and staff assessment are provided to Board members under separate cover.

 

Promotion Grants

 

One promotion grant application has been received in the current round requesting a total of $5,000 from the current financial year.  There is $5,000 to distribute for this round and the second round in the first half of 2024.  The details are provided in the table below:

 

No

Name of Organisation

Name of project / service

Purpose of funding

When does the project start

Total costs

Amount requested

1

Naseby Vision Inc

Information Map

Design, Install, Consent

27/01/2023

$9,802.50

$5,000

 

Copies of the applications, supporting documentation and staff assessments are provided to Board members under separate cover.

 

 

4.       Financial Considerations

 

As detailed above, the Board has $15,000 to distribute for the 2023/24 Community Grants round and $5,000 for the 2023/24 Promotions Grants. 

 

The Board has the delegated authority to spend within this budget.  Any recommendations above these amounts would fall outside of that delegation and would need to be by way of a recommendation to Council.

 

 

5.       Options

 

The Board is asked to consider each application and determine the appropriate level of funding.  There are no other options as the Board has the delegation to allocate grants from the contestable funds.

 

 

6.       Compliance

 

Local Government Act 2002 Purpose Provisions

This decision promotes the social, cultural, economic and environmental wellbeing of communities, in the present and for the future by providing a contestable funding pool that enables projects to be delivered in the community that enhance well-being.

 

Decision consistent with other Council plans and policies? Such as the District Plan, Economic Development Strategy etc.

Yes, this decision is consistent with the Grants Policy, and other plans and policies that may be impacted by any of the individual grant applications.

 

Considerations as to sustainability, the environment and climate change impacts

There is no direct impact, though some applications may have a positive environmental impact.

 

Risks Analysis

No risks have been identified in the funding applications. 

 

Significance, Consultation and Engagement (internal and external)

The funding rounds were advertised in the local newspaper, Council’s website and Facebook page, and through combined agency community funding clinics.  Discussions with departments of Council have taken place where there are impacts arising from the application.

 

 

 

7.       Next Steps

 

Once the Board has made a decision on the level of funding for each organisation, this will be communicated to each applicant and payments made.

 

 

8.       Attachments

 

Appendix 1 - Maniototo Early Settlers Grant Assessment (under separate cover)

Appendix 2 - Maniototo Early Settlers Grant Applicaiton (under separate cover)

Appendix 3 - Maniototo Early Settlers Supporting Documents (under separate cover)

Appendix 4 - Naseby Information Centre Grant Assessment (under separate cover)

Appendix 5 - Naseby Information Centre Grant Application (under separate cover)

Appendix 6 - Naseby Information Centre Supporting Documents (under separate cover)

Appendix 7 - Naseby Vision Grant Assessment (under separate cover)

Appendix 8 - Naseby Vision Grant Application (under separate cover)

Appendix 9 - Naseby Vision Supporting Documents (under separate cover)  

 

 

Report authors:

 

 

A blue text on a white background

Description automatically generated

 

A picture containing text

Description automatically generated

 Alison Mason

 Rebecca Williams

 Media and Marketing Manager

 Community Development Advisor

14/08/2023

14/08/2023

 

 

Reviewed and authorised by:

Reviewed and authorised by:

 

A close up of a name

Description automatically generated

 

 

A black line with a curved end

Description automatically generated with medium confidence

Paula Penno

Anthony Longman

Community and Development Manger

Acting Group Manager – Community Vision

24/08/2023

24/08/2023

 

 

Reviewed and authorised by:

 

 

 

Dylan Rushbrook

 

Interim Chief Executive Officer

 

28/08/2023

 

 

 


14 September 2023

 

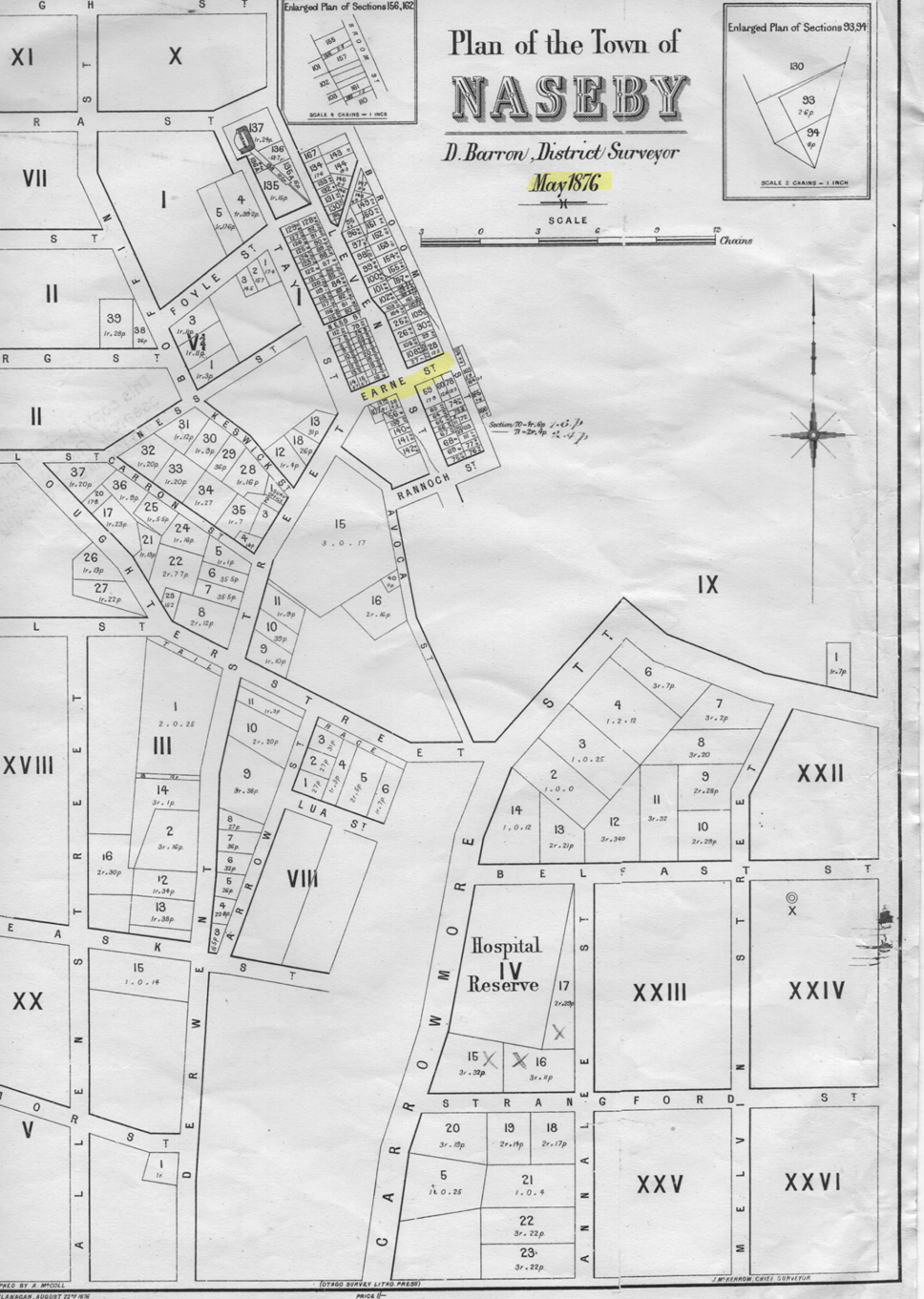
23.4.3         Road Renaming Approval Report - Earne Street, Naseby

Doc ID:      613017

 

1.       Purpose of Report

 

To consider a request to rename Earne Street in Naseby to Earn Street.

 

Recommendations

That the Maniototo Community Board

A.      Receives the report and accepts the level of significance.

B.      Recommends to Council that Earne Street, Naseby be renamed Earn Street.

 

2.       Background

 

Changing of existing road names is sometimes an emotive issue for members of the public and can cause inconvenience to residents and businesses on that road. There is also a lengthy legal process that is required to be followed in order to change a road name.

 

A request has been made by Hazel Harrison, a resident of Naseby, that the Maniototo Community Board considers renaming Earne Street in Naseby.  A plan of Earne Street and the affected properties is attached as appendix 1.

 

Hazel has been the Maniototo Early Settlers Association researcher for the past ten years and has published seven books about early Mount Ida district. Hazel has provided a written submission (attached as appendix 2) that suggests Earne Street was originally spelt without an “e” at the end of the name.  The request is that the Maniototo Community Board considers renaming this street using original spelling and drop the “e” at the end of the name. 

 

Supporting documents have been provided by way of copies of advertisements in the Mount Ida Chronical and copies two official survey plans of Naseby. Francis Howden, Road Engineer for Otago, January 1864, documents the 'Earn' spelling.  David Barron, surveyor, based in Naseby in 1876, documented the ‘Earne' spelling.  Hazel strongly suspects that is when and who changed the spelling (refer attachments as appendix 3).

 

The research provided suggests “Earn” originates from the Scottish named Loch Earn and River Earn.  This fits with corresponding street names which likely originate from other Scottish waterways i.e. Loch Broom and Loch Carron.

 

The road renaming policy contained in the Councils Road Policies 2015 governs the naming and renaming of roads in the district and is in accordance with the Australian/New Zealand Standard for rural and urban addressing (AS/NZS 4819:2011).

 

Requests to alter a road name shall be considered initially by the relevant Community Board and will only be forwarded to Council for ratification if supported by the Community Board.

 

3.       Discussion

 

The proposed road re-naming complies with Council Policy for road re-naming and does not create any duplicates or confusion with any existing road names within the district.

 

Staff consulted with the four affected property owners on Earne Street. The feedback received is attached as appendix 4. 

 

One property owner who runs a business on Earne Street is objecting to the change due to costs and time involved in making this change. The business has been in this location for 160 years and the owner does not see the need to change the road name. 

 

Two property owners on Earne Street support the change if the name is historically inaccurate however it was noted there would be a cost involved to businesses.

 

The third property owner on the street is not affected by a change therefore has not agreed or disagreed with a name change.

 

4.       Financial Considerations

 

Costs for changing road signs will be met by the council roading budgets.

 

 

5.       Options

 

Option 1 – (Recommended)

 

Change the name of Earne Street to Earn Street.

 

Advantages:

 

·        Corrects historically misspelt name.

 

Disadvantages:

 

·        Road signs will require replacing.

·        Businesses/organisations will need to update printed material/on-line media at their own cost.

 

Option 2

 

Leave Earne Street spelling as it currently is.

 

Advantages:

 

·        No cost incurred by businesses

·        No change is required to road signage

·        The name has been in place with an “e” for the past 150 years

 

Disadvantages:

 

·        Historically misspelt name remains incorrect.

 

 

6.       Compliance

 

Local Government Act 2002 Purpose Provisions

This decision enables democratic local decision making and action by, and on behalf of communities by providing clear direction to access points for emergency services.

 

Decision consistent with other Council plans and policies? Such as the District Plan, Economic Development Strategy etc.

 

Decision is consistent with other policies.

 

Considerations as to sustainability, the environment and climate change impacts

 

Managing change while protecting and enhancing our culture, heritage and landscape is one of the council’s sustainability goals.  Road renaming has the ability to celebrate culture and heritage aspects of the area.  Road renaming has no climate change impacts or benefits.

 

Risks Analysis

 

Approval of this road rename presents no discernible risk.

 

Significance, Consultation and Engagement (internal and external)

 

 

A consultation process has been undertaken with affected parties.  Staff will inform affected property owners once decision is made.

 

This decision does not trigger engagement under the Significance and Engagement Policy.

 

 

7.       Next Steps

 

1)   The Maniototo Community Board approves or rejects the proposal.

2)   Council confirms the name change.

3)   Public notification provided.

4)   Council sends a copy of the resolution to the Registrar-General of Land and the Survey-General.

 

 

 

8.       Attachments

 

Appendix 1 - Earne Street Plan.pdf

Appendix 2 - Earne Street Submission.pdf

Appendix 3 - Articles and Survey Maps.pdf

Appendix 4 - Property Owners Feedback .pdf  

 

Report author:

Reviewed and authorised by:

 

 

A signature on a white background

Description automatically generated

Faye Somerville

Quinton Penniall

Roading Administration Assistant

Infrastructure Manager

20/06/2023

 

 

 


Maniototo Community Board meeting

14 September 2023

 



Maniototo Community Board meeting

14 September 2023

 





Maniototo Community Board meeting

14 September 2023

 





Maniototo Community Board meeting

14 September 2023

 





 


14 September 2023

 

7              Mayor’s Report

23.4.4         Mayor's Report

Doc ID:      1200616

 

1.       Purpose

 

To consider an update from His Worship the Mayor.

 

Recommendations

That the Maniototo Community Board receives the report.

 

 

His Worship the Mayor will give a verbal update on activities and issues of interest since the last meeting.

 

 

 

2.       Attachments

 

Nil

 

 


14 September 2023

 

8              Chair's Report

23.4.5         Chair's Report

Doc ID:      1200619

 

1.       Purpose

 

The Chair will give an update on activities and issues since the last meeting.

 

Recommendations

That the report be received.

 

 

2.       Attachments

 

Nil

 


14 September 2023

 

9              Members' Reports

23.4.6         Members' Reports

Doc ID:      1200635

 

1.       Purpose

 

Members will give an update on activities and issues since the last meeting.

 

Recommendations

That the report be received.

 

 

2.       Attachments

 

Nil

 


14 September 2023

 

10            Status Reports

23.4.7         September 2023 Governance Report

Doc ID:      1200637

 

1.       Purpose

 

To report on items of general interest, receive minutes and updates from key organisations and consider the legacy and current status report updates.

 

Recommendations

That the report be received.

 

 

2.       Discussion

Minutes for the Māniatoto Community Arts Council

Minutes were received from the Māniatoto Community Arts Council for their 17th August 2023 meeting and AGM.

(Appendices 1 & 2).

 

Status Reports

The status reports have been updated with any actions since the previous meeting (see Appendix 3).

 

 

3.       Attachments

 

Appendix 1 - 20230817 MCAC Minutes AGM.docx

Appendix 2 - 20230817 MCAC Minutes.docx

Appendix 3 - 20230914 MCB Status Updates.docx  

 

Report author:

Reviewed and authorised by:

 

 

 

 

 

 

Sarah Reynolds

Nathan McLeod

Governance Support Officer

Acting Group Manager - Business Support

29/08/2023

29/08/2023

 

 


Maniototo Community Board meeting

14 September 2023

 




Maniototo Community Board meeting

14 September 2023

 




A white rectangular object with black lines

Description automatically generated


Maniototo Community Board meeting

14 September 2023

 





 


Maniototo Community Board Agenda

14 September 2023

 

11            Date of the Next Meeting

The date of the next scheduled meeting is 26 October 2023.